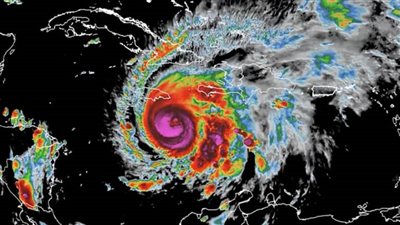
القوات الجوية الأمريكية تنشر لقطات نادرة لإعصار ميليسا (فيديو-صور)
أصدرت القوات الجوية الأمريكية لقطات مذهلة تظهر إحدى طائراتها وهي تشق طريقها عبر عين الإعصار ميليسا من الفئة الخامسة لجمع بيانات الأرصاد الجوية الحيوية لمركز الأعاصير الوطني بينما تتجه العاصفة نحو جامايكا.