القوات الجوية الأمريكية تنشر لقطات نادرة لإعصار ميليسا (فيديو-صور)
أصدرت القوات الجوية الأمريكية لقطات مذهلة تظهر إحدى طائراتها وهي تشق طريقها عبر عين الإعصار ميليسا من الفئة الخامسة لجمع بيانات الأرصاد الجوية الحيوية لمركز الأعاصير الوطني بينما تتجه العاصفة نحو جامايكا.
القوات الجوية الأمريكية تنشر لقطات نادرة لإعصار ميليسا (فيديو-صور)
تم تنفيذ هذه المهمة في 27 أكتوبر، بواسطة سرب الاستطلاع الجوي النخبوي رقم 53 (WRS)، والمعروف أيضًا باسم "صائدو الأعاصير"، وقد قدمت هذه المهمة لمحة نادرة عن جوهر ما أطلق عليه العلماء أقوى عاصفة في العالم لعام 2025.

وأظهر الفيديو، الذي التقطه المقدم مارك ويثي، أحد الملاحين في WRS، أفراد الطاقم وهم يمرون عبر العاصفة ويسجلون مشاهد مذهلة، بما في ذلك تأثير الملعب المذهل.
تُلاحظ هذه الظاهرة النادرة في الأعاصير المدارية القوية. تحدث عندما تنحني جدران الإعصار للخارج مع الارتفاع، مُشكلةً شكلًا يُشبه صفوف الملاعب الرياضية عند النظر إليها من الأعلى.
مطاردة الإعصار
دخلت الطائرة عين العاصفة من الجنوب الشرقي بعد شروق الشمس بقليل، مارةً عبر سحب رمادية كثيفة ذات رؤية محدودة. يُظهر الفيديو انعكاس ضوء الشمس مع ظهور جدار العين الدائري، مع دوران السحب بسرعة حول مركز هادئ.
وفي الوقت نفسه، يمكن رؤية ومضات البرق التي تضيء الهيكل على فترات متقطعة، في حين توضح ظروف المحيط القاسية أدناه شدة الإعصار من الفئة الخامسة.
شارك أحد أفراد الطاقم، وهو صائد الأعاصير التابع للقوات الجوية الأمريكية، والمعروف على منصة التواصل الاجتماعي X باسم المستخدم @FlynonymousWX أو "راعي البقر الاستوائي الخطر"، تحديثات مباشرة أثناء المهمة.
وقال في إحدى المنشورات: "نحن ندخل من الجنوب الشرقي بعد شروق الشمس مباشرة، والقوس الساطع على جدار العين في أقصى الشمال الغربي هو الضوء الذي بدأ للتو في الوصول إلى الأعلى من خلفنا".
وفي منشور على موقع X في 28 أكتوبر، قال الطاقم إنهم كانوا عائدين إلى قاعدتهم التشغيلية الأمامية في كوراساو بعد مواجهة اضطرابات شديدة أثناء الإبحار عبر مركز العاصفة.
خلال هذه الحادثة، تعرضت الطائرة لقوى عاتية لفترة وجيزة بسبب الاضطرابات الجوية، وأضاف الطاقم: "مع أن هذا لا يشير بالضرورة إلى وجود ضرر، إلا أن إجراءات السلامة القياسية تتطلب فحصًا قبل استئناف عمليات الطيران".
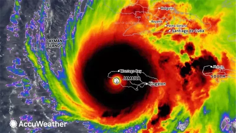
تهديد من الفئة الخامسة
مع رياح مستمرة بلغت سرعتها 183 ميلاً في الساعة (295 كيلومتراً في الساعة)، أصبح إعصار ميليسا أقوى عاصفة هذا العام، ومن المتوقع أن يصبح أقوى عاصفة تهدد جامايكا منذ أكثر من 170 عاماً.
وبحسب صحيفة نيويورك تايمز، من المتوقع أن يصل الإعصار من الفئة الخامسة إلى اليابسة في وقت لاحق اليوم، الثلاثاء 28 أكتوبر، مع تحذير السلطات من هطول أمطار غزيرة وفيضانات شديدة وعواصف عاتية يصل ارتفاعها إلى 13 قدمًا على طول الساحل الجنوبي للجزيرة.
حذر المركز الوطني للأعاصير من أن مزيج الرياح الشديدة والأمطار التي تتجاوز 40 بوصة في بعض المناطق والانهيارات الأرضية واسعة النطاق من شأنه أن يتسبب في ظروف "تهدد الحياة" في جميع أنحاء منطقة البحر الكاريبي.
اقرأ المزيد:
هل تقدم نجمة أرابيسك وامرأة من زمن الحب حفل افتتاح المتحف المصري الكبير؟
OpenAI ومايكروسوفت يقعدان صفقة بـ 500 مليار دولار، ما القصة؟
وذكرت هيئة الإذاعة البريطانية (بي بي سي) أن أكثر من 240 ألف منزل في جامايكا انقطعت عنها الكهرباء بعد أن فتحت الحكومة أكثر من 6 آلاف ملجأ وأصدرت أوامر إخلاء إلزامية للمناطق الساحلية والمناطق المعرضة للفيضانات.
تابع موقع الأيام المصرية عبر قناة (يوتيوب) اضغط هــــــــــــنا
تابع موقع الأيام المصرية عبر تطبيق (فيسبوك) اضغط هــــــــــنا
تابع موقع الأيام المصرية عبر تطبيق (تويتر) اضغط هــــــــنا
موقع الأيام المصرية، يهتم موقعنا بتقديم خدمة صحفية متميزة للقارئ، ونقدم لكم خدمة ومتابعة شاملة ومجموعة كبيرة من الأخبار داخل الأقسام التالية، أخبار، رياضة، فن، خارجي، اقتصاد، الأيام TV، حوادث، خدمات مثل سعر الدولار، سعر الذهب، أخبار مصر، سعر اليورو، سعر العملات ، جميع الدوريات.