الأربعاء 29 أكتوبر 2025
الايام المصرية
رئيس مجلس الإدارة
د. أحمد رضوان
رئيس التحرير
رضـــا حبيشى
رئيس مجلس الإدارة
د. أحمد رضوان
رئيس التحرير
رضـــا حبيشى

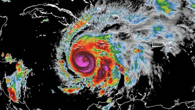
إعصار ميليسا يتجه نحو كوبا بعد ضرب جامايكا بقوة (فيديو)

إعصار ميليسا
إعصار ميليسا

ميليسا عاصفة من الفئة الخامسة، بسرعة رياح مستمرة تبلغ 295 كيلومترًا في الساعة (185 ميلًا في الساعة). 

إعصار ميليسا يتجه نحو كوبا بعد ضرب جامايكا بقوة (فيديو)

وصل الإعصار ميليسا إلى جامايكا، يوم الثلاثاء كعاصفة كارثية من الفئة الخامسة، وهو أحد أقوى أعاصير المحيط الأطلسي على الإطلاق، ومن المتوقع أن يستمر في ضرب شرق كوبا كإعصار كبير، في وقت مبكر من يوم الأربعاء.

وقال المركز الوطني الأمريكي للأعاصير في ميامي إن ميليسا تحمل رياحا سرعتها القصوى 125 ميلا في الساعة (205 كيلومترا في الساعة) وتتحرك باتجاه الشمال الشرقي بسرعة 8 أميال في الساعة (13 كيلومترا في الساعة) عبر البحر الكاريبي.

كان مركز الإعصار على بعد حوالي 50 ميلاً (80 كيلومتراً) شرق شمال شرق مونتيجو باي، جامايكا، وحوالي 160 ميلاً (260 كيلومتراً) جنوب غرب غوانتانامو، كوبا.

وقالت رئيسة مجلس الدفاع الإقليمي والأمين العام للحزب الشيوعي الكوبي في مقاطعة سانتياغو دي كوبا الشرقية، بياتريس جونسون أوروتيا، إن نحو 281 ألف شخص تم إجلاؤهم بالفعل ونقلهم إلى 101 مركز إخلاء في تلك المنطقة أو يقيمون مع جيران أو أقارب.

تم إخلاء بعض المجتمعات المنخفضة أو الساحلية بالكامل، ولم يبق سوى الأفراد المسؤولين عن حماية الممتلكات، ومن بين 16 خزانًا يديرها المعهد الوطني للموارد الهيدروليكية في المقاطعة، يتم تصريف المياه في خمسة خزانات، مع تراكم 78٪ من سعتها تحسبًا لهطول أمطار غزيرة.

وأشار ديزموند ماكنزي، نائب رئيس مجلس إدارة مخاطر الكوارث في جامايكا، إلى الإبلاغ عن أضرار واسعة النطاق في أبرشية سانت إليزابيث الجنوبية الغربية، والتي قال إنها "تغرق تحت الماء".

تجري عمليات الإجلاء في الوقت الذي من المتوقع فيه هطول أمطار تصل إلى 20 بوصة (51 سنتيمترًا) على مناطق شرق كوبا، إلى جانب عاصفة كبيرة على طول هذا الساحل.

وفي جامايكا، تسببت أمطار ميليسا والرياح التي بلغت سرعتها 295 كيلومترا في الساعة في حدوث انهيارات أرضية وسقوط أشجار وانقطاعات عديدة للتيار الكهربائي، في حين حذر المسؤولون من أن تقييم الأضرار سيكون بطيئا.

وقال رئيس وزراء جامايكا، أندرو هولنس: "لا توجد بنية تحتية في المنطقة قادرة على تحمل إعصار من الفئة الخامسة". 

وصرح ديزموند ماكنزي، نائب رئيس مجلس إدارة مخاطر الكوارث في جامايكا، بأنه من السابق لأوانه الحديث عن حجم الأضرار، لأن الإعصار - الأقوى الذي يضرب الجزيرة منذ بدء تسجيل الكوارث قبل 174 عامًا - لا يزال يضرب البلاد. 

وقد تسببت العاصفة بالفعل في وفاة سبعة أشخاص في منطقة البحر الكاريبي، منهم ثلاثة في جامايكا، وثلاثة في هايتي، وشخص واحد في جمهورية الدومينيكان، حيث لا يزال شخص آخر في عداد المفقودين.

وأفاد علماء المناخ يوم الاثنين، أن ارتفاع درجة حرارة محيطات العالم الناجم عن تغير المناخ ساهم في مضاعفة سرعة رياح إعصار ميليسا في أقل من 24 ساعة خلال عطلة نهاية الأسبوع. 

وأوضح العلماء أن هذه هي العاصفة الرابعة في المحيط الأطلسي هذا العام التي تشهد تكثيفًا سريعًا في سرعة رياحها وقوتها.

 

ترامب: الولايات المتحدة ستساعد جامايكا لمواجهة إعصار ميليسا

وقال الرئيس دونالد ترامب "نحن نراقب الأمر عن كثب، ونحن مستعدون للتحرك"، وأبدى دهشته من قوة العاصفة بقوله: لم أرَ ذلك من قبل، أظن أنه قد يصل إلى هذا الارتفاع، لكنني لم أرَه من قبل"

اقرأ المزيد:

الطاقة الشمسية تقود ثورة السيارات الكهربائية في تونس (التفاصيل)

الرضاعة الطبيعية حماية مناعية للأم ضد سرطان الثدي، ما القصة؟

وقال ديزموند ماكنزي نائب رئيس مجلس إدارة مخاطر الكوارث في جامايكا إن مياه الفيضانات حاصرت ثلاث عائلات على الأقل في منازلها في منطقة بلاك ريفر غربي جامايكا، ولم تتمكن الطواقم من مساعدتهم بسبب الظروف الجوية الخطيرة.

تابع موقع الأيام المصرية عبر قناة (يوتيوب) اضغط هــــــــــــنا

تابع موقع الأيام المصرية عبر تطبيق (فيسبوك) اضغط هــــــــــنا

تابع موقع الأيام المصرية عبر تطبيق (تويتر) اضغط هــــــــنا

 

موقع الأيام المصرية، يهتم موقعنا بتقديم خدمة صحفية متميزة للقارئ، ونقدم لكم خدمة ومتابعة شاملة ومجموعة كبيرة من الأخبار داخل الأقسام التالية، أخبار، رياضة، فن، خارجي، اقتصاد، الأيام TV، حوادث، خدمات مثل سعر الدولار، سعر الذهب، أخبار مصر، سعر اليورو، سعر العملات ، جميع الدوريات.

تم نسخ الرابط